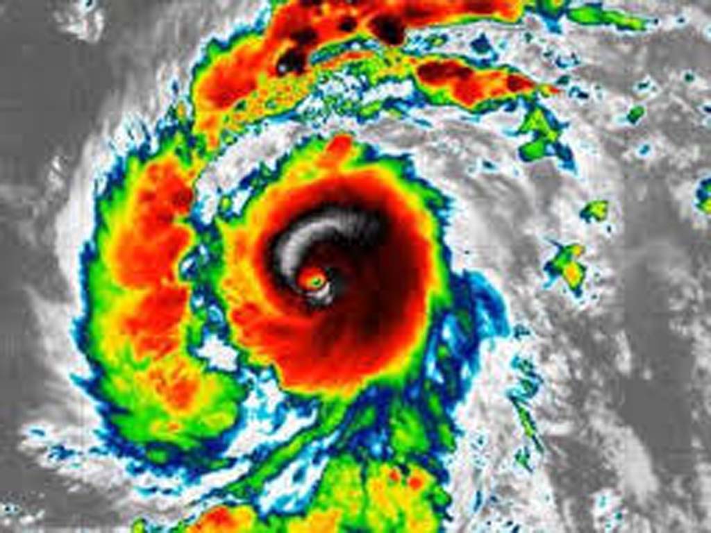
Selon le dernier rapport du Centre national des ouragans des États-Unis, publié lundi à 8 heures du matin, les vents maximums soutenus de ce système ont augmenté jusqu’à environ 215 kilomètres par heure avec des rafales plus fortes.
Les fluctuations de force se produiront probablement au cours de la journée, mais Beryl devrait rester un ouragan majeur extrêmement dangereux alors que son centre se déplace à travers les îles Sous-le-Vent vers l’est des Caraïbes.
Le plus grand risque provenant du cœur de ce système est attendu pour Saint-Vincent-et-les Grenadines et la Grenade, tandis qu’un certain affaiblissement se produira vers le milieu de la semaine, même s’il s’agira toujours d’un ouragan.
Les données officielles indiquent que Beryl est le premier ouragan majeur (catégorie 4 jusqu’à présent) généré si tôt dans l’Atlantique au cours des 58 dernières années, et le plus précoce à avoir pris naissance à l’est des Petites Antilles, où les tempêtes se forment généralement plus tard dans l’été, lorsque les eaux sont plus chaudes.
peo/livp/mem/crc





